by Hannah Livingstone
Bacterial vaginosis (BV) is a common condition caused by a shift in the balance of bacteria that inhabit the vaginal environment and causes symptoms such as vaginal discharge and odour. A few key bacteria that grow in a low-oxygen environment have been associated with the onset of BV, including several Gardnerella species. BV is generally treated with a course of antibiotics (most commonly clindamycin or metronidazole) but treatment isn’t always so simple. This is because the bacteria which cause BV are able to form biofilms – groups of bacteria which are attached to a surface and form a barrier – which provide protection against antibiotics.
Gaspar and colleagues set out to find a way to disrupt Gardnerella biofilms so that BV can be treated. They turned to dequalinium chloride (DQC), a compound which has shown to be effective against vaginal bacteria which cause BV and possess anti-inflammatory properties.
The authors did this by growing 5 different Gardnerella spp.strains in a way which promoted the development of biofilms in 2 types of culture medium called New York City III (NYCIII) and Supplemented Brain Heart Infusion (BHI) medium. Depending on their virulence factors, 2 of these strains were classified as being BV-associated and 3 were classified as non-BV.
NYCIII was able to sustain biofilm growth better than BHI and thus it was selected as the medium for further testing. A set amount of bacteria were inoculated into well plates and washed so that only the biofilms remained. DQC was added and metabolic activity and biomass of the biofilms were measured. Clindamycin was also added in a separate plate to allow for comparison of results.
The authors determined that DQC had an inhibitory effect on the biofilms of the BV-associated Gardnerella spp. strains. DQC was able to reduce the metabolism of biofilms of the BV-associated Gardnerella spp. strains by 50% (EC50) at a concentration of 8.11 µg•mL-1 and biofilm biomass by 80% at a concentration of 25.64 µg•mL-1. It was established that DQC showed a greater effect on the reduction of biofilm biomass, but not on metabolism, than clindamycin. DQC also demonstrated an ability to reduce the biofilm biomass and metabolism of non-BV Gardnerella biofilms.

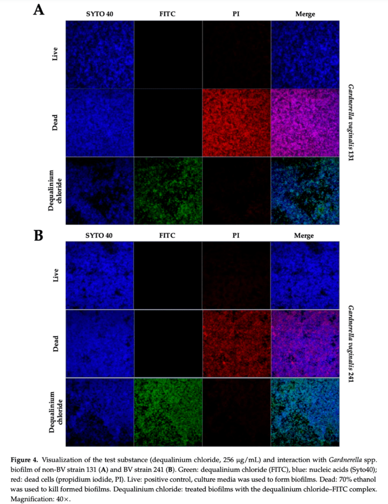
Biofilms were grown on glass coverslips, fixed, washed, dehydrated, and analyzed with a scanning electron microscope. The authors also used a fluorescent stains (fluorescein isothiocyanate, propidium iodide and SYTO40) to measure the ability of DCQ to penetrate into the biofilms which could be analyzed with a confocal laser scanning microscope.
The drug had a marked effect on the structure of the biofilms and the detachment of portions of the biofilms. This was seen in both BV and non-BV associated species.

These results are promising if one considers that clindamycin resistant Gardnerella spp. strains are steadily becoming more prevalent and that biofilms often complicate treatment. The findings put forward by Gaspar and colleagues suggest that DCQ should be investigated as a potential alternative treatment option.
References
Gaspar, C., Rolo, J., Cerca, N., Palmeira-de-Oliveira, R., Martinez-de-Oliveira, J. and Palmeira-de-Oliveira, A., 2021. Dequalinium Chloride Effectively Disrupts Bacterial Vaginosis (BV) Gardnerella spp. Biofilms. Pathogens, 10(3), p.261.

Leave a comment